Parcela - PULA - 344.000 EUR
| Lokacija | PULA, Istrska |
| Cena € | 344.000 |
| Površina | 663 m2 |
| Bližina prevoza | DA |
| Oddaljenost od morja | 500 m |
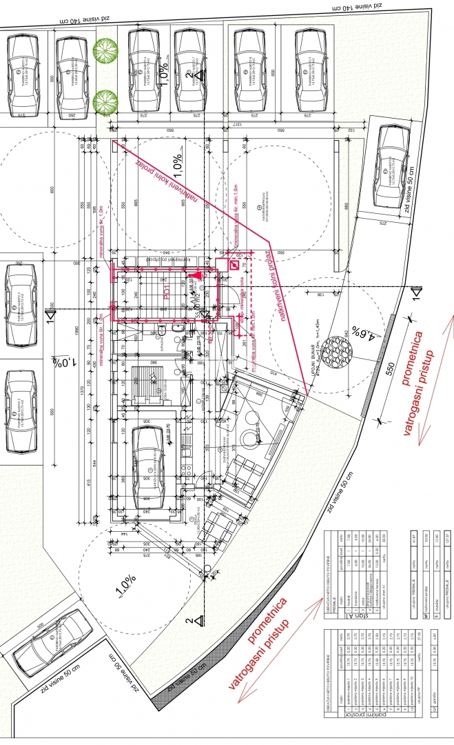
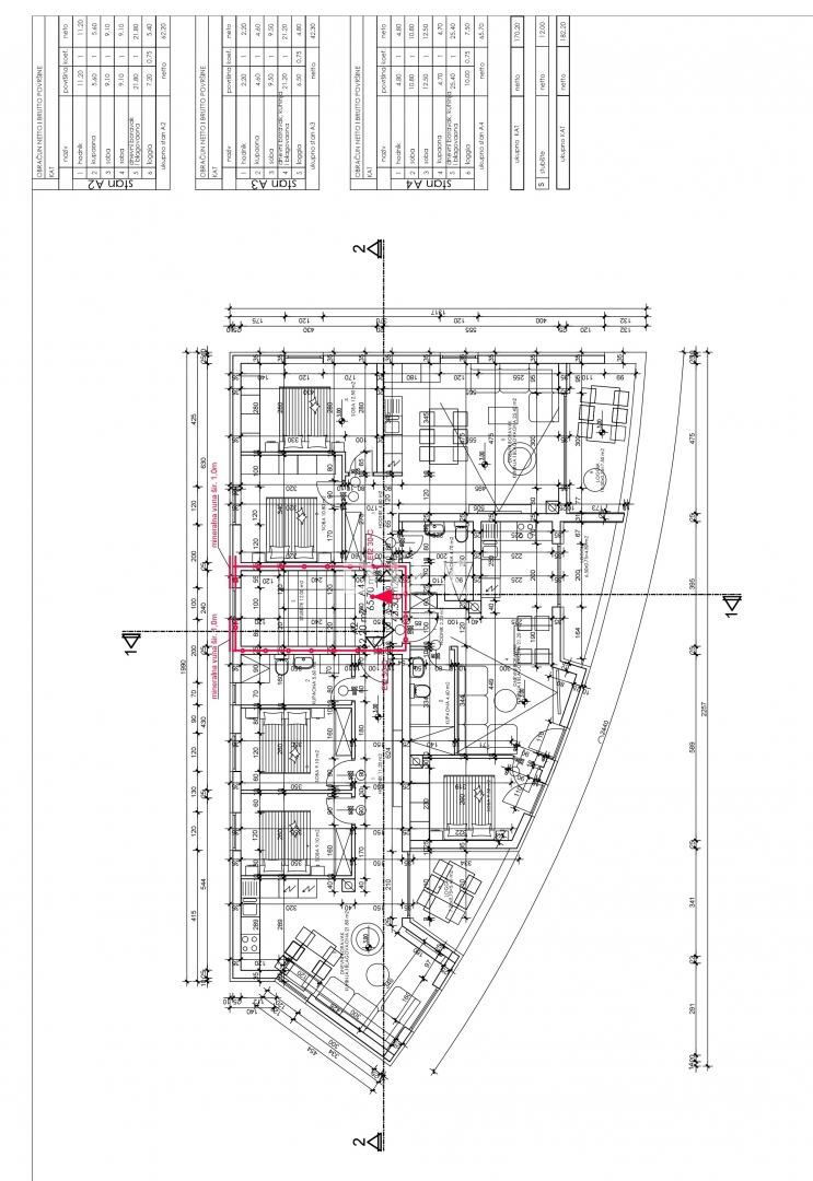
ISTRA, ŠTINJAN – gradbeno zemljišče z dovoljenjem in projektom za moderno stavbo s 7 stanovanjskimi enotami, 500 m od morja V mirni obalni vasici Štinjan, le nekaj minut vožnje od centra Pulja, se nahaja to atraktivno gradbeno zemljišče s skupno površino 663 m2. To je izjemna priložnost za investitorje in tiste, ki prepoznajo vrednost kombinacije naravnega okolja, urbanega udobja in neposredne bližine morja. OPIS ZEMLJIŠČA: Parcela ima gradbeno dovoljenje za gradnjo moderne stanovanjske stavbe s 7 stanovanjskimi enotami in pripadajočimi parkirnimi mesti znotraj vrta. Dostop do parcele je omogočen po asfaltirani javni cesti, vsa mestna infrastruktura – voda, elektrika, kanalizacija in internet – pa je na voljo v neposredni bližini. OPIS PROJEKTA: Stavba je sestavljena iz skupno 7 stanovanjskih enot in 10 zunanjih parkirnih mest ter enega parkirnega mesta v garaži. V pritličju je predvideno eno stanovanje (A1) s 55 m2 NETO bivalne površine, ki ga sestavljajo bivalni del, zasnovan kot odprt prostor, v katerem so predvideni dnevna soba, jedilnica in kuhinja z izhodom na pokrito teraso, nato pa je tu še hodnik z namenskim prostorom za garderobo, spalnica in kopalnica. Poleg tega ima to stanovanje v projektu načrtovano garažno mesto, in sicer BRUTO garažo s površino 13,75 m2, kar bi pomenilo, da se po koeficientu NETO stanovanjski površini tega stanovanja doda 6,87 m2, kar skupaj znaša 61,87 m2. 1. nadstropje - obsega 3 stanovanjske enote, in sicer A2 = 62,20 m2, A3 = 42,30 m2 in A4 = 65,70 m2. Stanovanje A2 (62,20 m2 NETO) je stanovanjska enota, ki jo sestavljajo bivalni del, zasnovan kot odprt prostor, kjer se nahaja dnevna soba, jedilnica in kuhinja z dostopom do lože, na voljo pa je tudi hodnik z namenskim prostorom za garderobo, ter dve prostorni spalnici in kopalnica. Stanovanje A3 (42,30 m2) je stanovanjska enota, ki jo sestavlja bivalni del, zasnovan kot odprt prostor, kjer se nahaja dnevna soba, jedilnica in kuhinja z izhodom na ložo, na voljo pa je tudi manjši hodnik z načrtovanim prostorom za garderobno sobo, ter ena spalnica in kopalnica. Prednost tega stanovanja je večji in prostornejši bivalni del, ki izžareva naravno svetlobo. Stanovanje A4 (65,70 m2) je stanovanjska enota, ki jo sestavlja bivalni del, zasnovan kot večji odprt prostor, kjer se nahajata načrtovana dnevna soba, jedilnica in kuhinja z neposrednim izhodom na ložo, na voljo pa je tudi hodnik z načrtovanim prostorom za garderobno sobo, ter dve udobni spalnici in kopalnica. 2. nadstropje - obsega 3 stanovanjske enote, A5 = 62,20 m2, A6 = 42,30 m2, A7 = 65,70 m2. Koncept stanovanj v tem nadstropju je enak konceptu stanovanj v 1. nadstropju stavbe, kjer je A5 dvosobno stanovanje + dnevna soba, A6 enosobno stanovanje + dnevna soba, A7 dvosobno stanovanje + dnevna soba. DODATNE INFORMACIJE: * Večjim stanovanjem pripadata dve parkirni mesti, manjšim pa eno. * Kvadratura parkirnih mest ni vključena v neto površino stanovanj in se prišteje pri prodaji enot posamezno. * Zemljišče se prodaja skupaj s projektom in izdanim ter veljavnim gradbenim dovoljenjem. * Električna, vodovodna, kanalizacijska in internetna infrastruktura se nahaja tik ob zemljišču. * Priključna dovoljenja so odobrena. * Komunalni prispevek trenutno ni plačan. * Zemljišče je v zasebni lasti fizične osebe. * Zemljišče je ravno in skoraj pravokotne oblike. * Nahaja se na mirni lokaciji, brez prometa, v bližini vseh potrebnih storitev. OPIS LOKACIJE: Štinjan je eno najbolj iskanih naselij v bližini Pulja – mirno, družinam prijazno in obdano z zelenjem, le 500 metrov pa loči to zemljišče od čudovitih, urejenih plaž in sprehajališč ob kristalno čistem morju. Obalni pas ponuja številne vsebine – beach bare, restavracije, parke, športna igrišča in prostorne površine za sprehode ali kolesarjenje. V samem naselju so trgovine, restavracije, šola in vrtec, redne mestne avtobusne linije pa Štinjan s središčem Pulja povezujejo vsakih 30 minut. Ta lokacija je popolno ravnovesje med mirom, naravo in praktičnostjo – popolno okolje za sodoben stanovanjski projekt z visokim investicijskim potencialom in varnim donosom vloženega kapitala. Za vse dodatne informacije, potrebno dokumentacijo ali dogovor o ogledu lokacije smo vam na voljo kadar koli. Spoštovane stranke, provizija agencije se zaračunava v skladu s Splošnimi pogoji poslovanja: www.dux-nekretnine.hr/opci-uvjeti-poslovanja
ID: 1231905