Parcela - KASTAV - 95.000 EUR
| Lokacija | KASTAV, Primorsko-goranska |
| Cena € | 95.000 |
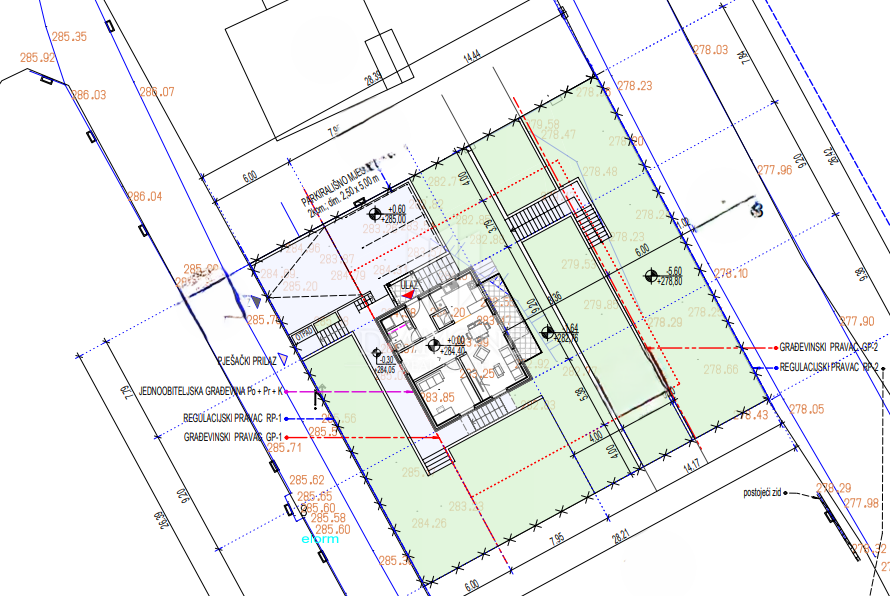
| Površina | 746 m2 |
| Oddaljenost od morja | 0 m |
Kastav, zemljišče pripravljeno za gradnjo Prodaja se zazidljivo zemljišče velikosti 746 m² v okolici Kastva, idealno za gradnjo družinske hiše. Zemljišče je rahlo nagnjeno, kar omogoča čudovit razgled na naravno okolje. Nahaja se v mirni ulici, obdani z družinskimi hišami, in nudi popoln občutek zasebnosti in miru. Čeprav je v bližini glavne ceste, povišan položaj zagotavlja mir in tišino. Velika prednost tega zemljišča je, da se prodaja s končnim projektom za družinsko hišo velikosti 180 m², ki je sestavljena iz kleti, pritličja in nadstropja. Izdano je veljavno gradbeno dovoljenje, plačane pa so tudi vse komunalne dajatve. Vse, kar je treba storiti, je začeti graditi – brez izgube časa zaradi dolgotrajnih upravnih postopkov. Vsa potrebna infrastruktura (elektrika, voda, telekomunikacije) je tik ob zemljišču, odlična prometna povezanost pa omogoča, da ste v nekaj minutah vožnje v središču Kastva ali Viškova, priljubljenih družinskih naselij. Ta edinstvena priložnost omogoča hiter začetek gradnje in mirno družinsko življenje v naravnem okolju. Ne zamudite te priložnosti – zemljišče je pripravljeno za gradnjo vašega novega doma!
ID: 1102734